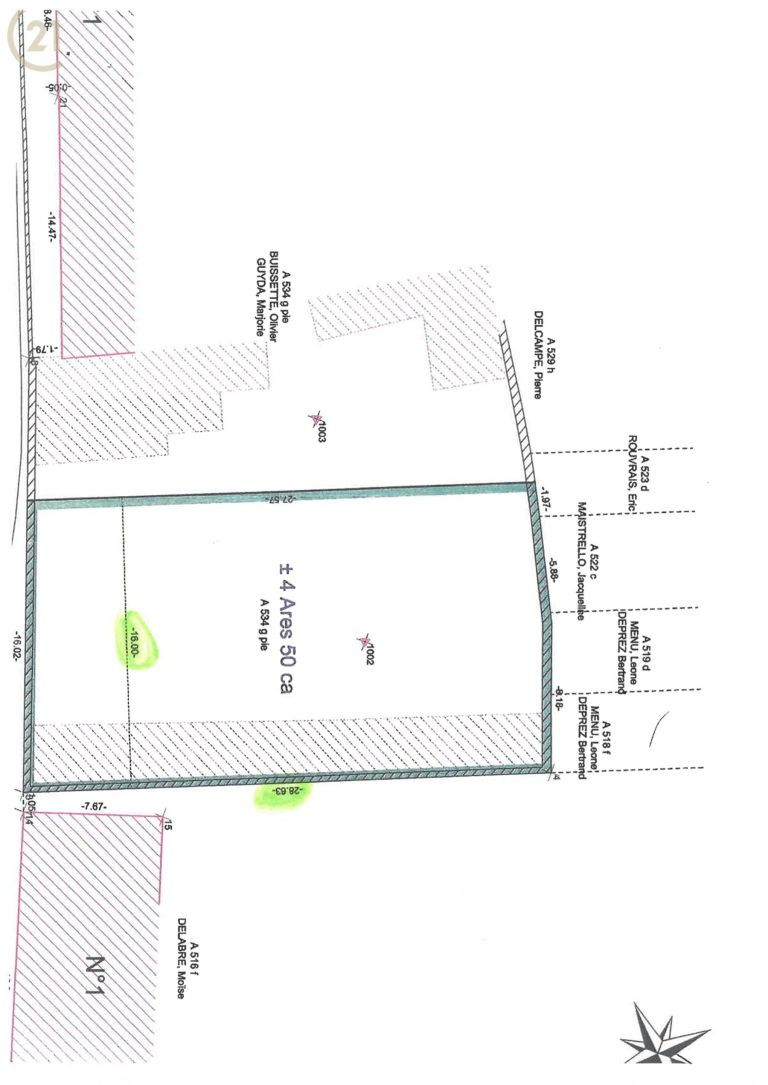
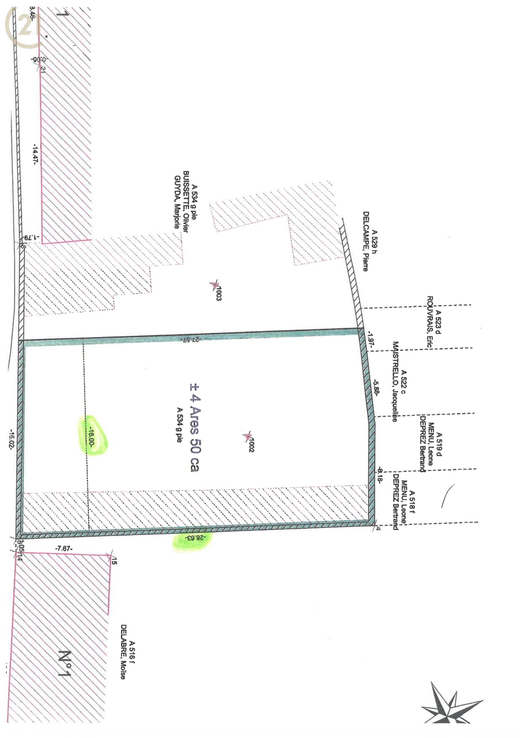
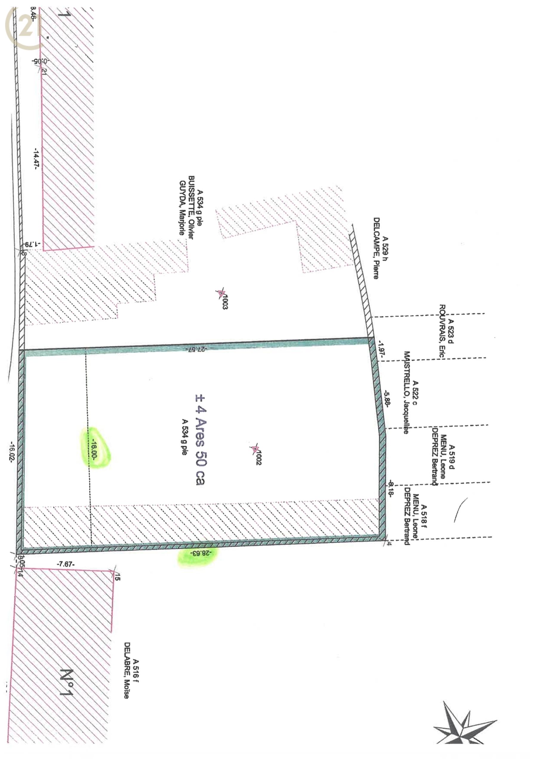
Réf/1843 : Situé dans le sympathique village de Roucourt, terrain à bâtir d’une superficie de 4 ares 54 centiares.
Largeur front à rue : 16.02 mètres.
Environnement calme.
OFP: 55.000€
Publicité, descriptif et prix: indicatif, à caractère non contractuel et ne constituant pas une offre.
Les propriétaires se réservent le droit de décision, d’acceptation ou non sur toute(s) offre(s) soumise(s) pour leur bien.








